Después de más de seis meses esperando, las obras que crearán la nueva rotonda de entrada a Trobajo del Camino desde la N-120 han comenzado. El Ayuntamiento de San Andrés del Rabanedo, a través de su alcaldesa, Ana Caurel, ha mostrado su satisfación por el inicio de esta "demandada" obra.

A través de un comunicado, el Ayuntamiento de San Andrés recuerda que el Ministerio de Transportes anunció que los trabajos darían comienzo el pasado 22 de abril. Sin embargo, las obras finalmente no han dado comienzo hasta la jornada de este martes.
Durante los días anteriores se llevaron a cabo trabajos de señalización, tanto vertical como horizontal, para delimitar el espacio en el comenzarán los trabajos, así como los correspondientes desvíos de tráfico.
El concejal de Urbanismo en el Ayuntamiento, Alejando Calvo, ha explicado que las las obras se prologarán hasta, como mínimo, finales del año 2025, dada la “envergadura del proyecto”, que fue adjudicado por 1,3 millones de euros en octubre del año 2023 y que cuenta con un periodo de ejecución máximo de 26 meses.
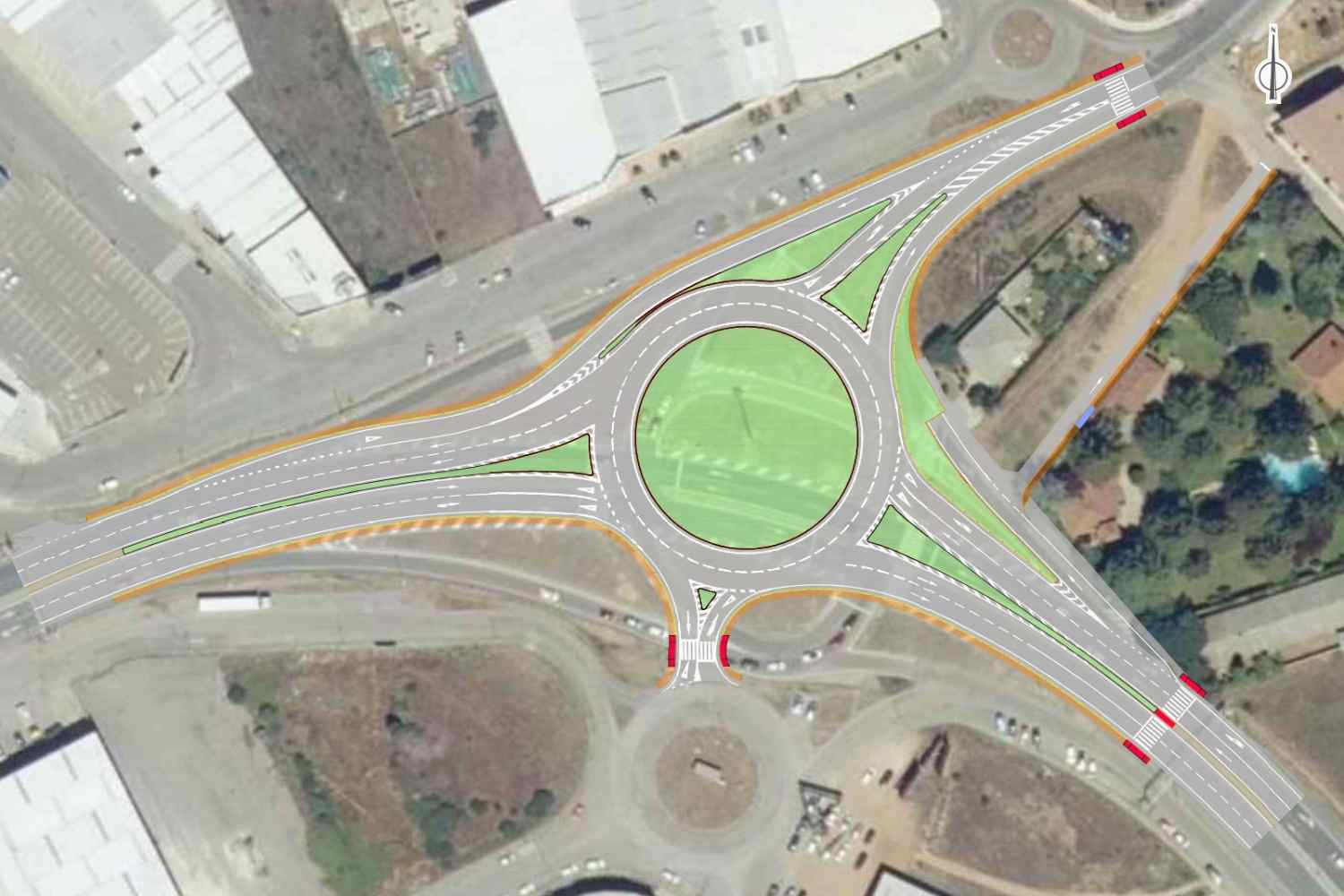
De esta forma, se espera que la rotonda facilite la comunicación de la N-120 con el acceso al polígono industrial de Trobajo del Camino, así como a la propia localidad, a través de la avenida Párroco Pablo Díez.
Se estima que por este nudo circulan a diario más de 16.000 vehículos. “Después de diez años, se ha logrado el objetivo, aunque haya llegado por parte del Gobierno de España con varias semanas de retraso”, ha señalado el concejal.
El proyecto recoge que la “rotonda partida” con semáforos que existe en la actualidad pase a ser una “rotonda completa”, con una superficie central de algo más de 50 metros, y con un nuevo acceso al polígono industrial, así como nuevas aceras y pasos de peatones en el entorno.
Si quieres que te llegue lo más importante y avisos de última hora, envía SUSCRIBIR o ALTA a nuestro número de Whatsapp +34 659 04 27 34 y formarás parte de nuestra lista de distribución de noticias. Es gratis y te mantiene informado con lo más relevante

